Ricerca

3 locali in Vendita a San Bartolomeo al Mare

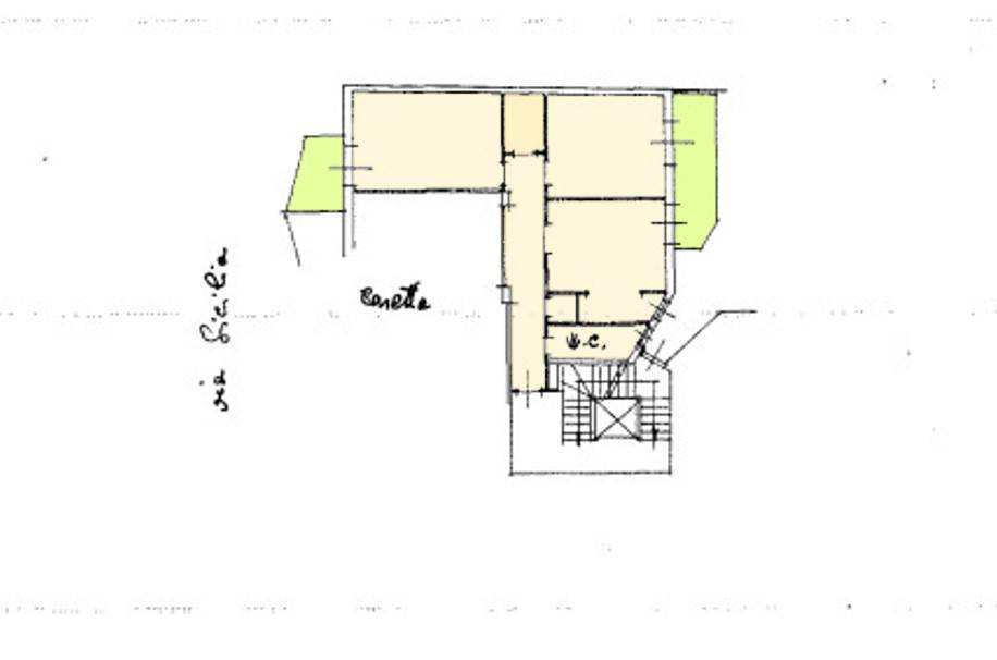
80 mq 3 Locali 2 Camere 1 Bagni

Classe energetica

G
Codice: trilovista € 248.000

San Bartolomeo al Mare - PALAZZINA IN PRIMA LINEA SUL MARE
Situato al secondo piano con ascensore, l'appartamento si compone di un ampio ingresso con corridoio che conduce alla zona giorno, composta da un soggiorno con cucina a vista.
Zona notte composta da due camere da letto e un bagno in ottime condizioni
Internamente, l'immobile è in buono stato conservativo, con infissi in doppio vetro e PVC che garantiscono un ottimo isolamento termico e acustico.
Il sistema di riscaldamento è autonomo.
L'appartamento dispone anche di un balcone che offre una gradevole vista mare.
La posizione centrale dell'immobile garantisce comodità e vicinanza a tutti i principali servizi, dotato di tutti i comfort necessari per una vita comoda e funzionale, rappresentando una soluzione perfetta per chi è alla ricerca di un immobile pronto all'uso in una zona tranquilla e ben servita.
Non perdere l'opportunità di visitarlo e valutare di acquistare la tua nuova casa a San Bartolomeo al Mare.

Informazioni immobile
Codice: trilovista
Contratto: Vendita
Tipologia: 3 locali
Regione: Liguria
Provincia: Imperia
Comune: San Bartolomeo al Mare
Prezzo: € 248.000
Totale mq: 80 mq
Camere: 2
Bagni: 1
Locali: 3
Stato conservazione: Buono
Piano: 2
Piani totali: 6
Riscaldamento: Autonomo
Ascensore: Si
Infissi: Doppio Vetro / PVC
Età costruzione: 1970
Stato attuale: Libero al rogito
Spese condominio: € 55
Disponibile: Si
Balconi: Presente
Distanza mare: 20 mt.
Cucina: A vista
Posizione: Centrale
Nelle vicinanze
Palestre
Centri Benessere
Campi da Calcio
Complessi Sportivi
Campi da Tennis
Piste Ciclabili
Parchi Giochi
Stazione Ferroviaria
Trasporti Pubblici
Asilo
Scuole Elementari
Scuole Medie
Scuole Superiori
Bar
Uffici postali
Centri commerciali
Uffici comunali

Mappa immobile

Ultimo aggiornamento 16-10-2025